Hunting Land and Farms: Minnesota: Winona County
30 Acres Winona County, MN - Pending!

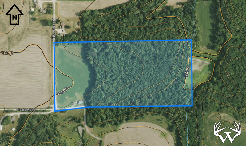
Directions:
From St. Charles take Hwy 14 East 1.25 miles the go South on Cherokee Rd for 1.75 miles.Please respect landowners and do not trespass on property for viewing without permission.
Features:
List Price:
$339,000
MLS #
6813240
Status:
Offer Pending
Property Type:
Residential, Farm, Hunting, Recreational
Zoning:
Agricultural
Address:
TBD30 Cherokee Rd
City/State:
St. Charles, MN
School District:
St Charles
Township:
St Charles
Sec/Twp/Rng:
33/106/10
Road Access:
Gravel Road
Taxes:
$2000
Tax Year:
2025
Electricity:
At Street
Water:
None
Sewer:
None
Outbuildings:
Yes
Land Type:
Acreage
Acres:
29.85
Tillable Acres:
6
Wooded Acres:
24
Waterfront:
Yes
Waterfront Type:
Creek
Cooperating Broker Compensation:
2%
TBD30 Cherokee Rd, St. Charles, MN
Contact Your
Weiss Realty Agent...
Weiss Realty Agent...

Owner, MN & WI Broker

To receive additional information about this property, fill out the form below.































































